Huracán Rafael: minuto a minuto desde Cuba

Todas las informaciones relacionadas al paso del huracán Rafael por Cuba las puede encontrar en el minuto a minuto de Cubavisión Internacional.

Nos puede seguir también en nuestras redes sociales. Estamos en Facebook, Telegram, X y Youtube.

El Estado Mayor Nacional de la Defensa Civil y los Institutos de Meteorología y Nacional de Recursos Hidráulicos, mantienen vigilancia sobre la evolución de este organismo ciclónico.

El Insmet pone a disposición un número de teléfono (78666060) por donde puede mantenerse informado sobre la situación meteorológica que atraviesa Cuba.

 

7/11/2024 (01:15) – Impactos occidentales del huracán Rafael

Le comentamos sobre algunos impactos del huracán Rafael tras su paso por la región occidental de Cuba, afectando directamente a las provincias de Pinar del Río, Artemisa, La Habana, Mayabeque y el Municipio Especial Isla de la Juventud.


7/11/2024 (00:00) – Huracán Rafael se adentra en el golfo de México

El huracán Rafael se aleja gradualmente del territorio nacional, ha disminuido su intensidad y ahora tiene vientos máximos sostenidos de 165 kilómetros por hora, con rachas superiores, aunque continúa siendo un huracán categoría dos de la escala Saffir – Simpson. Su presión mínima central ha ascendido hasta 969 hectoPascal.

A las doce de la noche el centro del huracán se estimó en los 23.8 grados de latitud Norte y los 83.9 grados de longitud Oeste, posición que lo sitúa a 120 kilómetros al norte-noroeste de La Palma, Pinar del Río. Este organismo se ha mantenido durante las últimas horas con un rumbo próximo al noroeste y una velocidad de traslación de 20 kilómetros por hora. Durante el día de hoy, entre las 8:00 am y las 8:00 pm, se han reportado numerosas lluvias, chubascos y tormentas eléctricas en las regiones central y occidental, con valores superiores a 100,0 milímetros en 24 localidades de las provincias de Sancti Spíritus, Cienfuegos, Matanzas, Mayabeque y La Habana. El mayor acumulado en este periodo se registró en el Acueducto Agramonte en el municipio Jagüey Grande, Matanzas con 156,4 milímetros. Las precipitaciones se mantendrán durante las próximas 24 horas, las que pudieran ser fuertes e intensas en algunas localidades de la región occidental.

En las próximas horas los vientos serán del suroeste al sur en el occidente con velocidades entre 25 y 40 kilómetros por hora, con rachas superiores. Continuarán las fuertes marejadas en la costa sur central y occidental con inundaciones costeras, que irán disminuyendo gradualmente en las provincias de Sancti Spíritus, Cienfuegos y Matanzas. Se mantendrán las inundaciones costeras moderadas en la costa sur de Mayabeque, Artemisa y Pinar del Río y las fuertes marejadas con inundaciones costeras moderadas en la costa norte de Artemisa y Pinar del Río.

Aunque el huracán Rafael se aleja gradualmente del territorio nacional, aún se mantendrá su influencia sobre la región occidental de Cuba, por lo debe prestarse atención a las informaciones que se emitan por el Centro de Pronósticos del Instituto de Meteorología.

El próximo aviso de ciclón tropical se emitirá a las seis de la mañana del jueves.

Fuente: Centro de Pronósticos Insmet


6/11/2024 (23:45) – #FuerzaArtemisa

En imágenes: paso del huracán Rafael por Artemisa


6/11/2024 (22:56) – Huracán Rafael se aleja del territorio cubano

El huracán Rafael salió al mar alrededor de las ocho de la noche por la bahía de Cabañas, Artemisa. En estos momentos tiene vientos máximos sostenidos de 170 kilómetros por hora, con rachas superiores, por lo que continúa siendo un huracán categoría dos de la escala Saffir-Simpson. Su presión mínima central ha ascendido hasta 968 hectoPascal.

A las nueve de la noche el centro del huracán se estimó en los 23.4 grados de latitud Norte y los 83.5 grados de longitud Oeste, posición que lo sitúa a 70 kilómetros al norte de La Palma, Pinar del Río y a 215 kilómetros al suroeste de cayo Hueso, Florida. Este organismo se ha mantenido durante las últimas horas con un rumbo próximo al noroeste y una velocidad de traslación de 22 kilómetros por hora.

Durante el día de hoy, entre las 8:00 am y las 6:00 pm, se han reportado numerosas lluvias, chubascos y tormentas eléctricas en las regiones central y occidental, con valores superiores a los 70,0 milímetros en las provincias de Sancti Spíritus, Villa Clara, Cienfuegos, Matanzas, Mayabeque y La Habana y en ocho localidades los valores superan los 100,0 milímetros. Las precipitaciones se mantendrán durante las próximas 24 horas, las que pudieran ser fuertes e intensas en algunas localidades de la región occidental.

En las próximas horas los vientos serán del suroeste al sur en el occidente con velocidades entre 25 y 40 kilómetros por hora, con rachas superiores. Continuarán las fuertes marejadas en la costa sur central y occidental con inundaciones costeras, que irán disminuyendo gradualmente en las provincias de Sancti Spíritus, Cienfuegos y Matanzas. Se mantendrán las inundaciones costeras moderadas en la costa sur de Mayabeque, Artemisa y Pinar del Río y las fuertes marejadas con inundaciones costeras moderadas en la costa norte de Artemisa y Pinar del Río.

Aunque el huracán Rafael se aleja gradualmente del territorio nacional, aún se mantendrá su influencia sobre la región occidental de Cuba, por lo debe prestarse atención a las informaciones que se emitan por el Centro de Pronósticos del Instituto de Meteorología.

El próximo aviso de ciclón tropical se emitirá a la medianoche de hoy.

Fuente: Centro de Pronósticos Insmet


6/11/2024 (21:40) – Occidente de Cuba traza estrategias para creación de microsistemas eléctricos

Como protocolo de actuación ante la desconexión total del Sistema Electroenergético Nacional (SEN), debido a fuertes vientos provocados por el azote del huracán Rafael al occidente de Cuba, se trabajará después del celaje de las líneas principales de transmisión y sub-transmisión para crear los microsistemas, los cuales se irán enlazando.

Lo anterior permitirá que se fortalezca el SEN y se restablezca gradualmente.

Fuente: Empresa Eléctrica de La Habana


6/11/2024 (20:35) – Sesionó esta tarde noche el Consejo de Defensa Nacional, encabezado por el presidente Miguel Díaz-Canel

Se evaluó la situación del occidente del país con el paso del huracán Rafael. Desde horas tempranas de la mañana, aseguró el mandatario, empezaremos con la recuperación.

En la noche y madrugada se hará levantamiento preliminar de los daños, para realizar los análisis a primera hora de mañana. El Jefe de Estado enfatizó en la rapidez con la que hay que actuar en la recuperación, sobre todo en Artemisa y La Habana, donde se esperan mayores daños.

 


6/11/2024 (20:22) – Actualización sobre el restablecimiento del SEN

Se trabaja en la creación de subsistemas eléctricos en el centro y el oriente de Cuba. En occidente este proceso será más lento, se deben revisar las líneas y las instalaciones eléctricas necesarias. Es un protocolo que demanda tiempo. 

Así lo informa el Ministerio de Energía y Minas en la red social X.


6/11/2024 (19:45) – En la Isla de la Juventud evalúan daños tras paso de Rafael

De manera preliminar las afectaciones del Huracán Rafael a la Isla de la Juventud no parecen significativas. Nuevamente las plantaciones de plátano y la cubierta de algunas entidades. Se evalúan otros daños.

Fuente: Noel Otaño (Periodista Islavisión)


6/11/2024 (19:29) – Artemisa comienza a cuantificar daños tras paso de huracán Rafael

Imágenes de algunos de los daños ocasionados por el huracán Rafael durante su paso por Artemisa.

 


6/11/2024 (19:05) – El centro de Rafael salió de Cuba por la Bahía de Cabañas, en Artemisa

En el occidente del país persistirán las lluvias y vientos durante algunas horas debido a las bandas de alimentación de este huracán.  


6/11/2024 (18:50) – Huracán Rafael próximo a salir al mar

El huracán Rafael penetró esta tarde por la localidad de playa Majana, costa sur de la provincia de Artemisa, alrededor de las 4 y 20 pm. Ahora sus vientos máximos sostenidos han disminuido hasta 170 kilómetros por hora, por lo que es un huracán categoría dos de la escala Saffir – Simpson. Su presión mínima central ha ascendido hasta 962 hectoPascal.

A la seis de la tarde el centro del huracán se estimó en los 23.0 grados de latitud Norte y los 83.0 grados de longitud Oeste, posición que lo sitúa sobre la bahía de Cabañas en la provincia de Artemisa, muy próximo a salir al mar. Este organismo se ha mantenido durante las últimas horas con un rumbo próximo al noroeste y una velocidad de traslación de 22 kilómetros por hora.

En las últimas horas se han reportado numerosas lluvias, chubascos y tormentas eléctricas en las regiones central y occidental de Cuba. Estas precipitaciones se mantendrán durante las próximas 24 horas, las que serán fuertes e intensas, con acumulados entre los 100 y 200 milímetros, que pudieran ser superiores en algunas localidades.

En la estación meteorológica de Mariel, Artemisa se reportó lluvia intensa de 121.8 milímetros, entre 9 de la mañana y 5 de la tarde, de ellos 78.6 milímetros entre 4 y 5 pm, además se registraron vientos máximos sostenidos de 130 kilómetros por hora y una racha 186 kilómetros por hora. En la estación meteorológica de Casablanca, La Habana se reportaron vientos máximos sostenidos de 90 kilómetros por hora, con la ocurrencia de una racha de 120 kilómetros por hora.

En las próximas horas los vientos continuarán del sudeste al sur en el occidente y centro con velocidades entre 70 y 85 kilómetros por hora, con rachas superiores. Los vientos con fuerza de huracán, con velocidades entre 135 y 150 kilómetros por hora con rachas superiores, pudieran persistir en las primeras horas de la noche, principalmente en las provincias de Mayabeque, Artemisa y Pinar del Río.

Se mantendrán las fuertes marejadas en la costa sur central y occidental, con olas entre 5 y 7 metros e inundaciones costeras fuertes en el litoral sur de las provincias de Sancti Spíritus, Cienfuegos y Matanzas, las que serán superiores en Mayabeque, Artemisa, Pinar del Río, la Isla de la Juventud y el archipiélago de los Canarreos. Luego de su salida al mar se generarán fuertes marejadas en la costa norte de la región occidental, con inundaciones costeras de moderadas a fuertes en el litoral norte de las provincias de Artemisa y Pinar del Río.

Teniendo en cuenta la afectación del huracán Rafael al territorio nacional debe prestarse la mayor atención a las informaciones que se emitan por el Centro de Pronósticos del Instituto de Meteorología.

El próximo aviso de ciclón tropical se emitirá a las nueve de la noche de hoy miércoles.

Fuente: Centro de Pronósticos Insmet


6/11/2024 (18:35) – ¿Cómo se implementará el protocolo para el restablecimiento del SEN?

Félix Estrada Rodríguez, director del Despacho Nacional de Carga de la Unión Eléctrica (UNE), precisó en la Televisión cubana, que cuando se estaba realizando la desconexión gradual de los diferentes circuitos previstos como medida ante el paso del huracán Rafael, los vientos provocaron varios disparos en los circuitos de distribución y se desconectó el Sistema Eléctrico Nacional (SEN).

Añadió que se están preparando las islas energéticas en la región central y oriental, mientras que en el Occidente del país se espera que pase el evento meteorológico para inspeccionar las líneas de transmisión y retomar la distribución.

Agregó que, hasta el momento, las patanas del territorio occidental no presentan daños, aunque, dijo, se debe esperar que el evento meteorológico salga de tierras cubanas.

A solo minutos de la caída del SEN ya varios circuitos tuneros contaban con electricidad.

El rápido accionar de los trabajadores eléctricos, permitió comenzar de inmediato la preparación de las islas de generación para comenzar a brindar el servicio, que incrementará su alcance paulatinamente de acuerdo a la disponibilidad del territorio.


6/11/2024 (18:30) – Estadio de béisbol «26 de julio» en Artemisa sufre los embates del huracán Rafael

 


6/11/2024 (18:10) – Fuertes marejadas acechan el litoral habanero

Imágenes impactantes del Huracán Rafael acechando al Malecón de La Habana captadas por la periodista de Cubavisión Internacional, Gisela Soto-Navarro.

 


6/11/2024 (18:00) – Reportan racha de viento de 186 km/h en el Mariel

Estación meteorológica de Mariel, Artemisa reporta vientos sostenidos de 130 km/h y un racha de 186 km/h a las 17:20 (Hora local).

Fuente: Centro de Pronósticos del Insmet


6/11/2024 (17:45) – El huracán Rafael provoca afectaciones en Bauta, Artemisa

La periodista de Cubavisión Internacional, Jeiddy Martínez nos envía imágenes desde Bauta, provincia de Artemisa, donde se han sentido fuertemente los embates del huracán Rafael.


6/11/2024 (17:33) – El huracán Rafael azota fuertemente a La Habana

El huracán Rafael azota fuertemente a La Habana, tras su entrada a Cuba ya son visibles las notables incidencias de este sistema frontal en la capital cubana.

Un equipo de Cubavisión Internacional reporta desde muy cerca del litoral habanero.


6/11/2024 (17:20) – Sesiona Consejo de Defensa Provincial Extraordinario de Villa Clara

Pronóstico de la situación meteorológica para el día de mañana jueves:

Según detalles ofrecidos por el Máster en Ciencias Amaury Machado, comenzará la disminución progresiva de las lluvias desde mañana.

Prever el escurrimiento que aumenta el caudal de los ríos, sobre todo el Sagua la Chica y Jagueyes que afectan al poblado de Falcón, en Placetas.

Presencia de saturación de los suelos de Jibacoa y abundantes precipitaciones en esa zona constituye la situación más compleja de la provincia.

Fuente: TeleCubanacan


6/11/2024 (16:51) – Huracán Rafael toca tierra como categoría tres por Playa Majana, Artemisa

 


6/11/2024 (16:30) – Imágenes en directo desde Artemisa, Mayabeque y La Habana

Rafael muy cerca de tocar tierra en el Occidente de Cuba. Lluvia fuerte en gran parte de Artemisa, Mayabeque, La Habana, Matanzas y el municipio especial Isla de la Juventud. Aquí les mostramos algunos videos publicados en redes sociales:

 

 

 


6/11/2024 (16:22) – Huracán Rafael próximo a tocar tierra

Durante la tarde de hoy el huracán Rafael continuó incrementando rápidamente su intensidad, sus vientos máximos sostenidos se han incrementado hasta 185 kilómetros por hora, por lo que es un huracán de gran intensidad, categoría tres de la escala Saffir – Simpson. Su presión mínima central ha continuado descendiendo hasta 956 hectoPascal.

A la tres de la tarde el centro del huracán se estimó en los 22.4 grados de latitud Norte y los 82.6 grados de longitud Oeste, posición que lo sitúa a 35 kilómetros al sur-suroeste de playa Cajío y a 60 kilómetros al sudeste de San Cristóbal, ambas localidades en la provincia de Artemisa. Este organismo se ha mantenido durante las últimas horas con un rumbo próximo al noroeste y una velocidad de traslación de 22 kilómetros por hora.

Este sistema continuará con similar rumbo y velocidad de traslación, acercándose a la costa sur de las provincias de Mayabeque y Artemisa, para penetrar en tierra en las próximas horas por un punto entre las playas Cajío y Guanimar en Artemisa. Se prevé su posible salida al mar en horas de la noche de hoy por la costa norte de las inmediaciones entre las provincias de Artemisa y Pinar del Río.

En las últimas horas se han reportado numerosas lluvias, chubascos y tormentas eléctricas en la región central y en el occidente de Cuba. Estas precipitaciones se mantendrán durante las próximas 24 horas, las que serán fuertes e intensas, con acumulados entre los 100 y 200 milímetros, que pudieran ser superiores en algunas localidades. En la tarde se han registrado vientos máximos sostenidos de 85 kilómetros por hora, con la ocurrencia de una racha de 110 kilómetros por hora en la estación meteorológica de Casablanca, La Habana. La estación meteorológica de Batabanó en Mayabeque reportó una racha de 150 kilómetros por hora.

En las próximas horas los vientos serán del sudeste al sur en el occidente y centro con velocidades entre 70 y 85 kilómetros por horas, con rachas superiores. Los vientos con fuerza de huracán, con velocidades entre 135 y 150 kilómetros por horas con rachas superiores, ocurrirán en las áreas cercanas a su centro, durante su paso por la región occidental, principalmente en las provincias de Mayabeque, Artemisa y Pinar del Río.

Habrá fuertes marejadas en la costa sur central y occidental, con olas entre 5 y 7 metros e inundaciones costeras fuertes en el litoral sur de las provincias de Sancti Spíritus, Cienfuegos y Matanzas, las que serán superiores en Mayabeque, Artemisa, Pinar del Río, la Isla de la Juventud y el archipiélago de los Canarreos. Luego de su salida al mar se generarán fuertes marejadas en la costa norte de la región occidental, con inundaciones costeras de moderadas a fuertes en el litoral norte de las provincias de Artemisa y Pinar del Río.

Teniendo en cuenta la afectación del huracán Rafael al territorio nacional debe prestarse la mayor atención a las informaciones que se emitan por el Centro de Pronósticos del Instituto de Meteorología.

El próximo aviso de ciclón tropical se emitirá a las seis de la tarde de hoy miércoles.

Fuente: Centro de Pronósticos del Insmet


6/11/2024 (16:10) – Huracán Rafael de categoría 3 impacta desde horas de la mañana al Occidente y Centro de Cuba

Le comentamos sobre algunos de los impactos del huracán Rafael en la mañana y el mediodía durante su paso por la costa sur del Occidente y Centro de Cuba.


6/11/2024 (15:50) – Fuertes vientos y lluvias en La Habana debido al paso del huracán Rafael

En la capital cubana comienzan a sentirse fuertes vientos y lluvias. Le brindamos algunas instantáneas tomadas por la periodista Daniela Ortega Alberto desde la sede de Cubavisión Internacional.

Estacion meteorológica de Casa Blanca reporta vientos sostenidos de 85 km/h y rachas de 110 km/h.


6/11/2024 (15:00) – Unión Eléctrica informa sobre desconexión del SEN

Última hora (14:48 horas). Fuertes vientos provocados por el Huracán de gran intensidad Rafael, provocan la desconexión del Sistema Eléctrico Nacional (SEN). Se aplican Protocolos de contingencia.


6/11/2024 (14:50) – Nota informativa de la Corporación de la Aviación Cubana

A partir de la condición de Alarma Ciclónica de las provincias Cienfuegos y Villa Clara provocada por la proximidad del huracán «Rafael», y en coordinación con los Consejos de Defensa de ambas provincias, se ha decidido suspender el servicio y las operaciones aéreas en los aeropuertos internacionales de Santa Clara y Cienfuegos, desde las 12:00 del mediodía de hoy 6 de noviembre, hasta las 12:00 del mediodía de mañana jueves 7 de noviembre.

Las líneas aéreas realizarán los ajustes para la protección de sus pasajeros.


6/11/2024 (14:37) – Autoridades de La Habana puntualizan medidas para minimizar efectos del huracán Rafael 

Las autoridades del Partido y el Gobierno puntualizan las acciones para la fase de alarma ciclónica en La Habana, ante el inminente paso del huracán Rafael por territorio nacional, con afectaciones directas para el occidente del país.

El director general de la Empresa Eléctrica de La Habana y las principales autoridades de la ciudad ofrecen información a los medios de prensa.

Contamos con:

  • 291 linieros de La Habana.
  • 122 linieros de las provincias Ciego de Ávila y Sancti Spíritus
  • 38 podadores
  • 45 carros ligeros.
  • 19 carros cestas
  • 21 camiones y grúas

Es importante que la población evite tocar cables caídos y siempre reportar a la empresa las afectaciones.


6/11/2024 (14:00) – Ya se sienten en la Isla de la Juventud los vientos huracanados de Rafael

La preparación de tres centros de evacuación, el aseguramiento al sistema asistencial de salud pública y la protección de recursos de la economía en todos los órdenes han caracterizado la estrategia del municipio especial ante la llegada de huracán Rafael.

Desde días anteriores el municipio se alista para recibir los embates de Rafael, cuyos vientos huracanados fueron perceptibles en Cayo Largo del Sur desde horas tempranas y ya afectan el territorio de la Isla.

Para evitar accidentes, los servicios de electricidad fueron interrumpidos en este territorio como una medida que se aplica de manera controlada para evitar accidentes por las averías que puedan ocasionar los vientos.

Las autoridades pineras garantizaron la evacuación de las personas que habitan enclaves vulnerables a inundaciones, como la comunidad de Cocodrilo, donde también se han salvaguardado los bienes de la población.

El sistema de Defensa Civil del municipio especial tiene a disposición de los pobladores tres centros de evacuación y también se garantiza la cobertura asistencial del hospital general docente Héroes del Baire, los hogares de ancianos y maternos.

Desde fechas precedentes los delegados de circunscripción han desarrollado junto al pueblo acciones profilácticas como la desobstrucción de zanjas, alcantarillas y poda de árboles.

Asimismo, se mantiene la estricta vigilancia a los 14 embalses del enclave insular, cuatro de los cuales se encuentran vertiendo, con un acumulado general de 169 mil 623 millones de metros cúbicos de agua, el 74 por ciento de la capacidad de almacenamiento.

Fuente: Islavisión


6/11/2024 (13:15) – Rafael es huracán categoría 3 con vientos sostenidos de 185 km/h


6/11/2024 (12:48) – Rafael próximo a ser un huracán de gran intensidad

Durante la mañana de este 6 de noviembre el huracán Rafael continuó ganando rápidamente en intensidad, sus vientos máximos sostenidos se han incrementado hasta 175 kilómetros por hora, por lo que aún continúa siendo un huracán categoría dos de la escala Saffir-Simpson, pero está muy próximo a convertirse en un huracán de gran intensidad. Su presión mínima central ha continuado descendiendo hasta 960 hectoPascal.

Al mediodía el centro del huracán se estimó en los 21.7 grados de latitud Norte y los 82.2 grados de longitud Oeste, posición que lo sitúa a 40 kilómetros al este – nordeste de Punta del Este, Isla de la Juventud, a 110 kilómetros al sur-sudeste de playa Cajío, Artemisa y a 130 kilómetros al este – sudeste de playa Dayaniguas, Pinar del Río. Este organismo se ha mantenido durante las últimas horas con un rumbo próximo al noroeste, con una velocidad de traslación de 22 kilómetros por hora.

Este sistema continuará con similar rumbo y velocidad de traslación, desplazándose muy próximo a la Isla de la Juventud, pudiendo ganar aún más en intensidad antes de penetrar en tierra, en horas de la tarde, por un punto entre las playas Guanimar en Artemisa y Dayaniguas en Pinar del Río. Se prevé su posible salida al mar en horas de la noche de hoy entre Puerto Esperanza, Pinar del Río y Bahía Honda, Artemisa.

En las últimas horas se han reportado numerosas lluvias, chubascos y tormentas eléctricas en la región central y han comenzado a incrementarse en el occidente de Cuba. Estas precipitaciones se mantendrán durante las próximas 24 horas, las que serán fuertes e intensas, con acumulados entre los 100 y 200 milímetros, que pudieran ser superiores en algunas localidades.

En la mañana se han registrado vientos máximos sostenidos de 92 kilómetros por hora, con la ocurrencia de una racha de 135 kilómetros por hora en cayo Largo del Sur, archipiélago de los Canarreos. La estación meteorológica de Playa Girón en Matanzas reportó vientos máximos sostenidos de 50 kilómetros por hora y una racha de 77 kilómetros por hora.

En las próximas horas los vientos serán del sudeste al sur en el occidente y centro con velocidades entre 70 y 85 kilómetros por horas, con rachas superiores. Los vientos con fuerza de huracán, con velocidades entre 135 y 150 kilómetros por horas con rachas superiores, ocurrirán en las áreas cercanas a su centro, durante su paso por la región occidental, principalmente en las provincias de Artemisa y Pinar del Río.

Habrá fuertes marejadas en la costa sur central y occidental, con olas entre 5 y 7 metros e inundaciones costeras fuertes en el litoral sur de las provincias de Sancti Spíritus, Cienfuegos y Matanzas, las que serán superiores en Mayabeque, Artemisa, Pinar del Río, la Isla de la Juventud y el archipiélago de los Canarreos. Luego de su salida al mar se generarán fuertes marejadas en la costa norte de la región occidental, con inundaciones costeras de moderadas a fuertes en el litoral norte de las provincias de Artemisa y Pinar del Río.Teniendo en cuenta la afectación del huracán Rafael al territorio nacional debe prestarse la mayor atención a las informaciones que se emitan por el Centro de Pronósticos del Instituto de Meteorología.

El próximo aviso de ciclón tropical se emitirá a las tres de la tarde de hoy miércoles.

Fuente: Centro de Pronósticos del Insmet


6/11/2024 (12:40) – Actualización desde Villa Clara

El territorio villaclareño tiene un total de 13 130 personas protegidas, 12 013 en viviendas solidarias y 1117 en centros de evacuación.

De esa cantidad:
7323 mujeres
1061 niños
1248 ancianos
41 embarazadas
17 discapacitados

Precipitaciones en Villa Clara entre las 06:00 y las 10:00 horas de este miércoles:
32 mm Tope de Collantes
20 mm Jibacoa
11.5 mm Presa Manicaragua
10 mm Hanabanilla

Fuente: Radio CMHW


6/11/2024 (12:30) – En el Malecón de La Habana ya se sienten los primeros embates del huracán Rafael

En la capital de Cuba ya son perceptibles algunas precipitaciones y vientos que se estima pueden llegar a los 150 km/h. Un equipo de Cubavisión Internacional llegó hasta la zona comprendida entre la avenida 23 y Malecón para ilustrarnos lo que ahí sucede.


6/11/2024 (12:24) – Consejo de Defensa Provincial en Pinar del Río chequea acciones preventivas en Puerto Esperanza

Al poblado pesquero de Puerto Esperanza, último punto de la geografía pinareña que recibió los embates y furia de los vientos del huracán Ian, en septiembre de 2022, llegó esta mañana el integrante del Consejo de Defensa Nacional, Jorge Luis Broche Lorenzo.

Acompañado por la presidenta del Consejo de Defensa Provincial, Yamilé Ramos Cordero, Broche Lorenzo se interesó por la vitalidad de los servicios sanitarios en el Policlínico Lazareno González, que serán apoyados por una de las 8 brigadas médicas activadas en Vueltabajo.

En estos momentos tiene que primar la cooperación y solidaridad entre todos, aseguró el también integrante del Secretariado del CC PCC, en dialógo con el CDM y de zona.
En esta comunidad, con una población de 6 623 habitantes, se distribuyen de forma acelerada los productos de la canasta básica.
Aquí ya han sido protegidas 941 personas en casas de familiares, vecinos y amigos.

Puerto Esperanza se encuentra al 63 por ciento de recuperación de las afectaciones provocadas por Ian al fondo habitaciona, en una localidad que mantiene viva las huellas del meteoro en más de mil residentes del lugar.

Fuente: Tele Pinar


6/11/2024 (12:06) – Suspenden servicio eléctrico en Isla de la Juventud para prevenir daños del huracán Rafael

Debido a la proximidad del huracán Rafael a la Isla de la Juventud se decidió como medida preventiva suspender el servicio eléctrico hasta que pase el evento y se realice el celaje a la línea. Recuerden siempre cumplir con las medidas de la Defensa Civil.

Fuente: Empresa Eléctrica Isla de la Juventud


6/11/2024 (11:57) – Se mantienen reportes de marejadas y vientos al sur de Matanzas

Se reportan marejadas y viento en Playa Caletón, Ciénaga de Zapata durante el paso del huracán Rafael al sur del territorio matancero.

Fuente: Lázaro Ramón Sosa Morell (Radio 26)

 


6/11/2024 (11:52) – Cienfuegos evidencia marejadas y fuertes vientos provocadas por el huracán Rafael

Desde Rancho Luna, Cienfuegos nos llegan imágenes gracias al M. Sc. Virgilio Regueira, jefe del Centro de Pronósticos Provincial.


6/11/2024 (11:42) – Poblado de Jibacoa en Villa Clara queda incomunicado tras lluvias generadas por huracán Rafael

El poblado montañoso de Jibacoa, en el Escambray villaclareño, ya se encuentra incomunicado tras las lluvias que desde esta mañana se reportan en Manicaragua.

Como parte de la estrategia de reducción de riesgos, ya el Consejo de Defensa Provincial de Villa Clara había dispuesto el envío hacia esa y otras zonas vulnerables de la montaña un equipo médico, insumos y otros recursos para asegurar los servicios básicos.

 

Fuente: Yunier Sifonte (Periodista de Telecubanacán)


6/11/2024 (11:35) – Delegación de transporte en Pinar del Río toma medidas ante paso del huracán Rafael

  • Se realizó en tren la transportación de los estudiantes becados desde la cabecera hasta Guanes.
  • Se garantizó con Ómnibus Escolares el traslado de los estudiantes hacia los territorios del este de la capital.
  • Se garantiza el servicio de Hemodiálisis por la empresa Taxis Cuba.
  • Taxis Cuba garantiza 6 medios para la Organización Básica Eléctrica.
  • Se trasladan con Ómnibus Escolares 4 brigadas médicas para Viñales, Santa Lucía, Sanguily y San Diego en los Palacios.
  • Se le garantiza 4 medios a la prensa y la radio desde el martes hasta el sábado.
  • Cada jefe de Dpto Municipal garantiza de conjunto con el Consejo de Defensa Municipal que cada presidente de Zona de Defensa tenga un medio de transporte a su disposición.
  • La empresa de Ómnibus Escolares garantizó el traslado hoy de soldados para la recogida de desechos en la ciudad.

Información enviada por el delegado del transporte en Pinar del Río, Carlos Alberto Rodríguez González.


6/11/2024 (11:24) – Chequean en Artemisa cumplimiento de las medidas de la fase de alarma

La población de Playa Cajío está evacuada y en lugares seguros, hasta el sur de la provincia de Artemisa llegaron las miembro del secretariado del Comité Central del PCC, para comprobar el cumplimiento de las medidas de la fase de alarma, uno de los lugares de mayor riesgo ante el paso del huracán Rafael.

 


6/11/2024 (10:55) – Defensa Civil de Cuba informa que pasan a la normalidad provincias Orientales tras paso del huracán Rafael

De acuerdo con la información del Centro de Pronósticos del Instituto de Meteorología la evolución y trayectoria del huracán Rafael no constituye un peligro para las provincias de Guantánamo, Santiago de Cuba, Granma, Holguín, Las Tunas y Camagüey, por lo que se decidió pasar a la normalidad a partir de las 11:00 horas de hoy estos territorios que se encuentran en Fase Informativa. En el caso de la provincia de Guantánamo, los municipios de San Antonio del Sur, Imías, Maisí y Baracoa continúan el proceso de recuperación del huracán Oscar.

Las provincias de Pinar del Río, Artemisa, Mayabeque, La Habana, Matanzas, Villa Clara, Cienfuegos, Sancti Spíritus y el Municipio Especial de la Isla de la Juventud se mantienen en Fase de Alarma. Ciego de Ávila se mantiene en Fase Informativa, este territorio debe prestar especial atención a las inundaciones costeras en la costa sur.

Se orienta a la población mantenerse informada a través de los medios de comunicación nacionales, provinciales, municipales, los perfiles oficiales de las redes sociales y cumplir disciplinadamente con las indicaciones que impartan las autoridades locales y la Defensa Civil.

Nota Informativa del Estado Mayor Nacional de la Defensa Civil


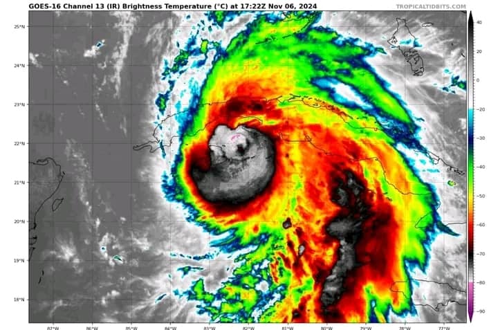
6/11/2024 (10:28) – Huracán Rafael se acerca a la categoría 3

Rafael continúa intensificándose y tiene vientos ahora de 175 km/h por lo que está muy próximo de alcanzar la categoría 3. Más imágenes llegan desde Cayo Largo del Sur a través del perfil en Facebook del Instituto de Meteorología.

En las imágenes de satélite se aprecia por momento ya un ojo y todo parece indicar que va a penetrar como un huracán de gran intensidad alrededor de las 4 de esta tarde por algún punto entre Playa Majana, Artemisa y Playa Dayaniguas en Pinar del Río.

Fuente: Instituto de Meteorología de Cuba


6/11/2024 (10:17) – MINEM informa sobre desconexión controlada de circuitos eléctricos para prevenir accidentes y fallos en redes eléctricas 

El Ministerio de Energía y Minas (MINEM) informa en su cuenta oficial de la red social X, que a partir de que los vientos del huracán Rafael alcancen los 60 km/ h en las provincias del Occidente y Centro de Cuba se realizará la desconexión controlada de los circuitos de distribución, para evitar accidentes y fallos en las redes eléctricas.

Fuente: Ministerio de Energía y Minas


6/11/2024 (10:05) – Prosiguen los embates del huracán Rafael en Cayo Largo del Sur

Llegan nuevas imágenes desde Cayo Largo del Sur, donde ya se siente la proximidad del huracán Rafael. En los últimos días se han evacuado desde allí por vía aérea a turistas y trabajadores.

 

Fuente: Eduardo Rodríguez Dávila (ministro de Transporte de la República de Cuba)


6/11/2024 (09:50) – Presidente del Consejo de Defensa Nacional chequea situación meteorológica 

El presidente del Consejo de Defensa Nacional, Miguel Díaz-Canel Bermúdez, chequeó bien temprano la situación meteorológica ante la inminente llegada del huracán Rafael, que tocará tierra cubana al mediodía con categoría 2, lo que implica vientos sostenidos de más de 150 kilómetros/horas.

Los daños del ciclón no los podemos detener, pero nos hemos preparado bien, y luego lo enfrentaremos todo, dijo el Jefe de Estado, luego de que el director general del INSMET, Celso Pazos, informara que al mediodía estará impactando directamente en la Isla de la Juventud.

 

Entre las tres y las cuatro de la tarde, informó el especialista, debe estar entrando al archipiélago cubano, en un punto entre Playa Cajío y Playa Dayaniguas, en Artemisa y Pinar del Río, respectivamente.

El presidente Díaz-Canel indicó limitar al máximo la movilidad de personas en las calles, como está establecido en la fase de Alarma; revisar cada medio de comunicación; y mantener vigilancia también en el centro del país por las lluvias en el macizo montañoso de Guamuhaya.

Fuente: Presidencia Cuba


6/11/2024 (09:40) – Autoridades de La Habana puntualizan acciones para fase de alarma ciclónica 

En esta mañana las principales autoridades del Partido y el Gobierno en La Habana puntualizaron las acciones para la fase de alarma ciclónica, establecida por el Estado Mayor de la Defensa Civil ante el inminente paso del huracán Rafael por territorio nacional, con afectaciones directas para el occidente del país.

Las acciones se intensificarán en todos los municipios con énfasis en la recogida de desechos, la limpieza de tragantes y la evacuación de las comunidades más vulnerables. Para ello se activan los grupos y subgrupos del sistema de defensa en cada demarcación de la provincia.

Se suman al Consejo de Defensa Provincial la vice primera ministra Inés María Chapman, junto a otros representantes de diferentes organismos que apoyarán a la capital en la fase de alarma y posterior recuperación tras el embate del huracán Rafael.

Las autoridades insisten en una coordinación estrecha entre todos los factores con el objetivo de garantizar el óptimo enfrentamiento al evento hidrometeorológico.Asimismo, instan a la población a adoptar las medidas establecidas por la Defensa Civil y a formar parte activa del proceso recuperativo en la provincia.

Fuente: Richard Ruiz (Periodista de Canal Habana)


6/11/2024 (09:23) – MINSAP adopta medidas para garantizar servicios básicos de salud en Cuba ante paso del huracán Rafael

Ante el inminente paso del huracán Rafael por Cuba, desde el Ministerio de Salud Pública (MINSAP) se puntualizan las medidas para proteger los recursos y garantizar la atención médica sin interrupciones. Así lo reflejó el ministro del sector José Ángel Portal Miranda en su perfil oficial de la red social X.


6/11/2024 (09:00) – Huracán Rafael continúa fortaleciéndose 

Durante la mañana de este 6 de noviembre el huracán Rafael continuó ganando rápidamente en organización e intensidad, sus vientos máximos sostenidos se han incrementado hasta 160 kilómetros por hora, por lo que es un huracán categoría dos de la escala Saffir-Simpson. Su presión mínima central ha continuado descendiendo hasta 964 hectoPascal.

A las nueve de la mañana el centro del huracán se estimó en los 21.3 grados de latitud Norte y los 81.9 grados de longitud Oeste, posición que lo sitúa a 75 kilómetros al sudeste de Punta del Este, Isla de la Juventud, a 165 kilómetros al sur-sudeste de playa Cajío, Artemisa y a 180 kilómetros al sudeste de playa Dayaniguas, Pinar del Río. Este organismo se ha mantenido durante las últimas horas con un rumbo próximo al noroeste y ha incrementado ligeramente su velocidad de traslación hasta los 22 kilómetros por hora.

Este sistema continuará con similar rumbo y velocidad de traslación, transitando durante la mañana por los mares cercanos a la Isla de la Juventud, pudiendo ganar aún más en intensidad, antes de penetrar en tierra en las inmediaciones de la costa sur de las provincias de Artemisa y Pinar del Río.

En las últimas horas se han reportado numerosas lluvias, chubascos y tormentas eléctricas en las regiones oriental y central, las que se incrementarán en el día de hoy en el occidente de Cuba. Estas precipitaciones se mantendrán durante las próximas 24 horas, las que serán fuertes e intensas, con acumulados entre los 100 y 200 milímetros, que pudieran ser superiores en algunas localidades.

En la mañana los vientos serán del este al sudeste en el occidente y centro con velocidades entre 50 y 65 kilómetros por horas, que desde la tarde pasarán a ser del sudeste al sur con velocidades entre 95 y 110 kilómetros por horas, con rachas superiores. Los vientos alcanzarán fuerza de huracán en las áreas cercanas al centro de este organismo tropical durante su paso por la región occidental. Habrá fuertes marejadas en la costa sur central y occidental, con inundaciones costeras de moderadas a fuertes en el sur de las provincias de Sancti Spíritus, Cienfuegos, Matanzas, Mayabeque, Artemisa y Pinar del Río, así como en la Isla de la Juventud y el archipiélago de los Canarreos.

Teniendo en cuenta su cercanía al territorio nacional y la trayectoria pronosticada debe prestarse la mayor atención a su futura evolución y a las informaciones que se emitan por el Centro de Pronósticos del Instituto de Meteorología.

El próximo aviso de ciclón tropical se emitirá al mediodía de hoy miércoles.

Fuente: Centro de Pronósticos del Instituto de Meteorología


6/11/2024 (08:50) – La Habana publica números telefónicos para reportar interrupciones eléctricas ante el inminente paso del huracán Rafael 

Ante las fuertes lluvias y vientos pronosticados para las próximas horas, asociados al huracán Rafael, se encuentran activados los Puestos de Mando de cada OBE municipal.

Puede comunicarse a través de los siguientes números telefónicos para realizar reportes de interrupciones de servicio:
  • Arroyo Naranjo: 76432713
  • Boyeros: 76450641- 76455719
  • Centro Habana – Habana Vieja: 78787674
  • Cotorro: 76827561 – 76821611
  • Habana del Este: 77620453
  • La Lisa: 72607406 – 72602446
  • Marianao: 72671102 – 72603376
  • Playa: 72087064 – 72082848
  • Plaza – Cerro: 78830030
  • Regla: 77945746 – 77947748
  • San Miguel del Padrón: 76938505
  • Diez de Octubre: 76994203

Fuente: Empresa Eléctrica de La Habana


6/11/2024 (08:23) – Se reportan fuertes marejadas en Playa Larga 

Así luce la costa sur de la Ciénaga de Zapata, municipio al extremo de la provincia de Matanzas. La imágenes corresponden a Playa Larga, cabecera del territorio.

Las marejadas son fuertes, aunque no se reportan inundaciones ni daños por penetraciones del mar.

Fuente: Carlos Manuel Bernal (Periodista TV Yumurí)


6/11/2024 (08:15) – Cayo Largo del Sur comienza a sentir los embates del huracán Rafael

Así amanece Cayo Largo del Sur este miércoles, con rachas de vientos fuertes desde las 04:00 (Hora local), pero se intensificaron a partir de las 06:00.

Los 296 trabajadores que se mantienen en el cayo se encuentran bien resguardados en sus habitaciones; de ellos, 118 son mujeres y 178 hombres.

En este minuto se siente extremadamente fuerte el viento y llueve intensamente.

Fuente: Islavisión


6/11/2024 (08:05) – Primeros efectos del huracán Rafael en la Ciénaga de Zapata

Cielo encapotado al sur de Matanzas y lluvia constante desde las 05:00 (Hora local), la cual presenta intermitencia en su intensidad.

Los vientos no son significativos, pues sólo se reportan rachas aisladas que no superan los 50 km/h. Las marejadas han aumentado y los trenes de olas han llegado hasta los dos metros.

El Consejo de Defensa Municipal mantiene contacto permanente con comunidades de difícil acceso como Santo Tomás, Cocodrilo y Guasasa. Allí se trabaja para garantizar los recursos mínimos indispensables.

Fuente: Carlos Manuel Bernal (Periodista TV Yumurí)


6/11/2024 (07:50) – Sesiona en la Isla de la Juventud reunión del Consejo de Defensa Municipal

Con el acompañamiento de Ernesto Santiesteban Velázquez, ,miembro del Comité Central del Partido Comunista de Cuba, y de Generales de la Fuerzas Armadas Revolucionarias y el ministro del Interior, se desarrolló la reunión del Consejo de Defensa Municipal en la Isla de la Juventud.

En el encuentro se realizaron importantes precisiones acerca de la evacuación de las personas del poblado de Cocodrilo y del traslado de los trabajadores de Cayo Largo del Sur, lo cual se realizó con absoluta disciplina cumpliendo todas las medidas previstas.

En otro momento de la reunión, Ernesto Santiesteban Velázquez, miembro del Comité Central Partido expresó: «No he tenido mucho tiempo de investigar, pero con lo que escuché en esta reunión, se evidencia que aquí están cumpliendo las medidas que se asumen durante esta etapa en ante estos eventos meteorológicos”.
El dirigente partidista añadió en que revisaran bien el tema de las comunicaciones, porque el territorio no puede quedar incomunicado. Al respecto pidió que utilizaran la vía de comunicación más inmediata «cara a cara» en los barrios y comunidades porque esa no necesita recursos, solo la voluntad de las personas.

El presidente del Consejo de Defensa Municipal Osbel Lorenzo refirió «No se pueden cometer errores, durante estas horas no descansaremos, y cada uno debe salir de aquí cumpliendo todo lo que tenga pendiente y deba cumplir. Después que pase el huracán, saldremos a evaluar los daños y comenzaremos a trabajar fuerte con el objetivo de recuperarnos rápido y aseguro».

“Estamos conscientes de que todos juntos, y con la disciplina a que nos tiene acostumbrado el pueblo pinero, saldremos victoriosos del paso de Rafael”.

Fuente: Islavisión

6/11/2024 (07:00) – Huracán Rafael alcanza la categoría 2

El Huracán Rafael ya es categoría 2, según informó el meteorólogo del Insmet, Elier Pila, a través de su perfil oficial en la red social X. Un avión de reconocimiento encontró vientos sostenidos de 160 km/h.

Deja una respuesta

Tu dirección de correo electrónico no será publicada. Los campos obligatorios están marcados con *

Noticias recientes:

Infórmate más: